NA ANTENIE: DZIEŃ DOBRY WIELKOPOLSKO
Studio nagrań Ogłoszenia BIP Cennik
SŁUCHAJ RADIA ON-LINE
 

Remont ważny, ale… bezsensowny?

Publikacja: 31.10.2018 g.15:33  Aktualizacja: 31.10.2018 g.15:37 Adam Michalkiewicz
Poznań
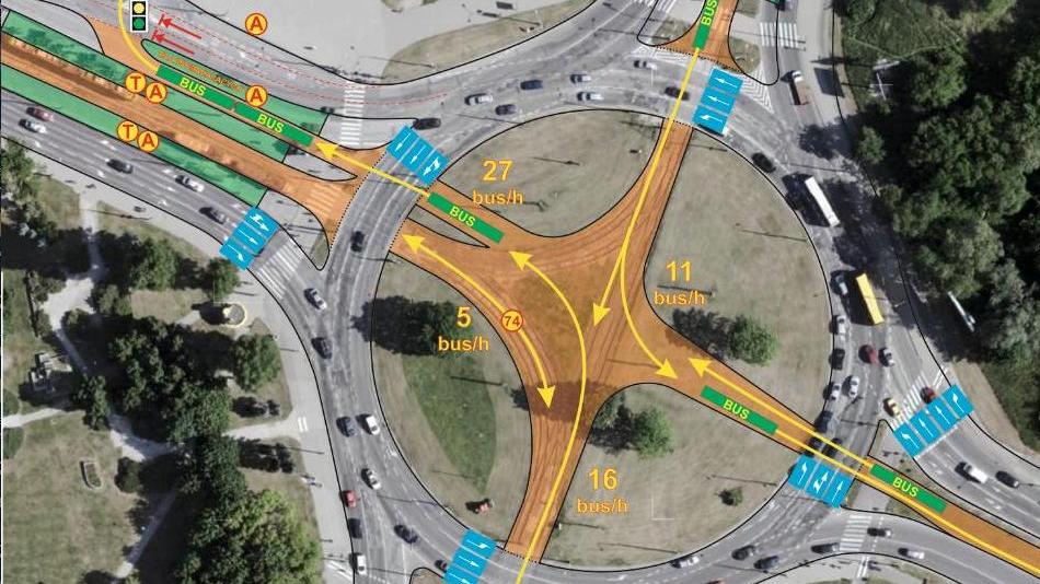
Rondo Rataje zmodernizuje zagraniczna firma. Miasto wybrało hiszpańskie konsorcjum do przebudowy ronda Rataje.
rondo rataje przebudowa - ZDM
/ Fot. ZDM

Spis treści:

    Remont zacznie się prawdopodobnie dopiero na początku 2020 roku, bo firma musi najpierw zrobić projekty i dostać pozwolenia. Potrwa to nawet 15 miesięcy.

    Według radnego z Rataj Adama Pawlika, zmiany nie polepszą doli kierowców. Wbrew wcześniejszym planom rondo nadal będzie miało jeden poziom. Planowane jest jednak wspólne torowisko dla tramwajów i autobusów. Będzie ono na ulicy Krzywoustego - na odcinku od Serafitek do ronda, na Jana Pawła II, od Kórnickiej do ronda oraz na Zamenhofa od Piłsudskiego do ronda. Powstaną też nowe chodniki i drogi rowerowe. Zamontowane mają być światła na lewoskrętach. 

    Przebudowa nie należy do najtańszych. Umowa z hiszpańską firma będzie podpisana na 138 milionów złotych, a nowym rondem kierowcy - według zapewnień miejskich urzędników, pojadą w 2021 roku. 

    https://www.radiopoznan.fm/n/6Ioc0H