NA ANTENIE: Między niebem a ziemią
Studio nagrań Ogłoszenia BIP Cennik
SŁUCHAJ RADIA ON-LINE
 

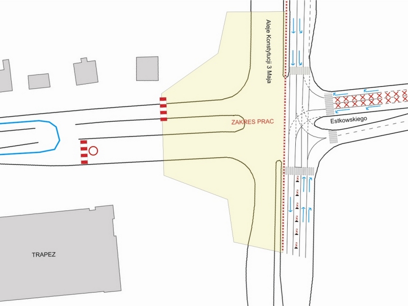
Leszno zakorkowane - do września?

Publikacja: 24.04.2013 g.15:09  Aktualizacja: 24.04.2013 g.16:07
Poznań
Ogromne korki tworzyły się w wielu rejonach Leszna. W środę po południu rozpoczął się remont skrzyżowania, w którym przecinają się dwie drogi krajowe - nr 5 i 12. Dziennie przejeżdża przez nie ponad 20 tys. samochodów.
Skrzyżowanie w Lesznie - UM Leszna
/ Fot. (UM Leszna)

Spis treści:

    Dla jadących tranzytem drogowcy wyznaczyli objazdy ulicami centrum Leszna. Dwuetapowy remont skrzyżowania potrwa do września. Janusz Czarnecki, naczelnik Wydziału Ruchu Drogowego leszczyńskiej policji zapewnia, że ruchem w najbardziej newralgicznych miejscach w godzinach szczytu komunikacyjnego będą kierować policjanci.  W miejscach najbardziej niebezpiecznych dla pieszych częściej będą czuwać policjanci i strażnicy miejscy.

    https://www.radiopoznan.fm/n/